Самая безумная волна в мире: умопомрачительные кадры
Одно из самых редких океанских явлений — место, где одновременно разбиваются четыре волны, создавая впечатляющий всплеск, — недавно взорвало интернет. Нет сомнений, что природа…
Read More
Одно из самых редких океанских явлений — место, где одновременно разбиваются четыре волны, создавая впечатляющий всплеск, — недавно взорвало интернет. Нет сомнений, что природа…
Read More
Молния убивает большинство деревьев, в которые она попадает, но ученые обнаружили вид деревьев, который не только выживает после ударов молнии, но и процветает благодаря…
Read More
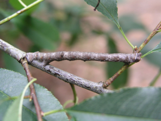
Гусеница березовой пяденицы обладает одним из самых впечатляющих природных камуфляжей в животном мире. Они не только выглядят как безжизненные веточки, но и могут менять…
Read More
Береговая линия иранского острова стала ярко-красной после сильных дождей. По данным Daily Mail, кадры этого так называемого багрового прилива в настоящее время набирают миллионы…
Read More
Двое сотрудников службы охраны дикой природы во Флориде спасли 30 замерзших морских черепах на фоне необычно низких температур в регионе. Комиссия по охране рыбных…
Read More
В мире насчитывается около 45 000 видов пауков, все они плотоядные, за одним исключением — Bagheera kiplingi, паука-скакуна, известного тем, что он питается почти…
Read More
Согласно «продолжающемуся исследованию», опубликованному в журнале Nature, недавно обнаруженный вид зубастой змеи в Западных Гималаях был назван в честь актера. Когда ученые проанализировали ДНК…
Read More
Элио да Силва, вышедший на пенсию руководитель бизнеса из Бразилии, за последние два десятилетия в одиночку посадил более 41 000 деревьев в своем родном…
Read More
Такие европейские страны, как Германия, Франция и Швейцария, пытаются сдержать нашествие муравьев Tapinoma magnum — вида, от которого, по словам экспертов, «практически невозможно избавиться»….
Read More
Каждое лето Затерянное озеро в Орегоне исчезает в нескольких вулканических туннелях, чтобы вернуться осенью, когда несколько ручьев начинают вливаться в то, что выглядит как…
Read More
Ученые давно подозревали, что некоторые виды птиц могут есть, пить, спариваться и даже спать во время полета, но даже они были ошеломлены, когда данные…
Read More
В 1991 году Анил и Памела Малхотра купили 55 акров неиспользуемой сельскохозяйственной земли в Карнатаке, Индия, и начали сажать на ней местные деревья. За…
Read More
Согласно Книге рекордов Гиннесса, ситкинская ель, растущая на самом южном субарктическом острове Новой Зеландии, является самым одиноким и отдаленным деревом на Земле. Это не…
Read More
В небольшой деревне Диноша в Черногории растет старое тутовое дерево, которое каждый раз, когда идет сильный дождь, превращается в фонтан. Как мы все знаем,…
Read More
Греческий остров Родос является домом для особого биома, называемого Долиной Петалудес, или Долиной бабочек, в честь миллионов эндемичных мотыльков, которые в летние месяцы покрывают…
Read More
На берегу была обнаружена необычная рыба — и люди не хотят иметь с ней ничего общего. Длинноносого звездочета нашли в Сингапуре зарытым лицом вверх…
Read More
Буковая живая изгородь Мейклеур, расположенная недалеко от деревни Мейклеур в Шотландии, имеет высоту 30 метров (98 футов), что делает ее самой высокой живой изгородью…
Read More
В голландской провинции Утрехт находится озеро причудливого вида, которое, кажется, было вырезано гигантским ножом. Винкевенсе Плассен (Озера Винкевен) состоит из большого водоема и причудливых…
Read More
Кагами Нума — мифическое японское озеро, которое каждую весну в процессе таяния превращается в гигантский глаз, отсюда и его прозвище — Озеро Глаза Дракона….
Read More
Дерево Туле, расположенное во дворе церкви в живописном городе Санта-Мария-дель-Туле, представляет собой 2000-летний кипарис Монтесумы, известный своим самым толстым стволом в мире. Так насколько…
Read More
Рядом с кратером Даллол в впадине Данакиль, Эфиопия, находится пруд Гаэтале, небольшой бассейн с соленостью 43%, что делает его самым соленым водоемом на Земле….
Read More
Посетители Йосемитского национального парка в Калифорнии стали свидетелями редкого явления, когда отражение солнца в падающей воде создало так называемый «огнепад». Водопад Хвощ в Йосемити…
Read More
Пустыня штата Мэн, участок песка и ила площадью около 40 акров недалеко от города Фрипорт, является геологической странностью, чудом природы и предупреждением о том,…
Read More
Корейская бамбуковая соль — это роскошный продукт, который может стоить более 100 долларов за банку емкостью 8,5 унций (240 г). Цена во многом продиктована…
Read More
Сен-Мало, исторический французский порт на побережье Ла-Манша, славится самыми высокими приливами в Европе, а волноломы едва удерживают гигантские волны от ударов о жилые дома….
Read More
Baorisa hieroglyphica, также известная как мотылек Пикассо, — это вид бабочки, названный в честь известного испанского художника Пабло Пикассо благодаря своим необычайно художественным рисункам…
Read More
Инишмор, самый большой из ирландских островов Аран, является домом для замечательного чуда природы: прямоугольного бассейна, вырезанного в известняке настолько прямо, что кажется рукотворным. Poll…
Read More
Знаете ли вы, что медоносные пчелы — не единственные насекомые, способные производить сладкий, вязкий натуральный продукт от коричневого до золотистого цвета, который мы знаем…
Read More
Каждый год поздней осенью тысячи людей стекаются в Банге-ри, деревню в Кёнсане, Южная Корея, чтобы увидеть красоту величественного 860-летнего дерева гинкго билоба. Светское дерево…
Read More
Ленивые туристы, посещающие живописные горные места в китайской провинции Чжэцзян, теперь могут вообще отказаться от горных походов и покататься на гигантских эскалаторах длиной в…
Read More
На западе Польши в Грыфино есть лес, таящий в себе необычную загадку. Около 400 деревьев, окруженных нормально растущими деревьями, изогнуты у основания на 90…
Read More
Река Цяньтаг в Китае известна уникальным природным явлением — волнистым приливом, который впервые наблюдался только в 2021 году и стал известен как прилив из…
Read More
На озере Чиппева в Висконсине находится гигантский плавучий остров, который иногда перемещается, блокируя критически важный мост, и его приходится перемещать местным владельцам лодок. Озеро…
Read More
Сегодня нейромастер Егор Фецич представил нам, как могли бы выглядеть самые большие реки нашей планеты, если бы превратились в мужчин и женщин, и это…
Read More
Стоит человеку немного замешкаться, и вот уже растения и животные нагло и бесцеремонно проникают на его территорию. А если пройдёт ещё и несколько лет……
Read More
Поверьте, природа приготовила для всех очень интересные сюрпризы, например, уникальные атмосферные явления, фрукты весьма странной формы, удивительно талантливые сочетания цветов и оттенков, и многое…
Read More
Новозеландское озеро Ротомайревенуа, также известное как Голубое озеро национального парка Нельсон-Лейкс в Новой Зеландии, официально признано самым чистым водоемом с пресной водой в мире….
Read More
У природы свое расписание и свои, если так можно сказать, тараканы в голове. Иногда она может вычудить такое, что весь день просто коту под…
Read More
Здесь даже периодически снимают фильмы, действие которых происходит на других планетах. И понятно почему – это действительно марсианский пейзаж и одно из самых неземных…
Read More
Как так, живем в нормальной местности, а на огороде в этом году невесть что уродило? Да, бывает, причем нередко. Но не извольте беспокоиться, в…
Read More
Расположенный в национальном парке Канаима, водопад Анхель впечатляет сам по себе, но еще более особенным и привлекательным его делает то, что к нему не…
Read More
Многие не могут поверить, но в нашем мире еще остались места, которые не затронула пандемия. Вот эти счастливчики: Науру Это маленькое государство в Океании,…
Read More
Озеро получило известность благодаря своей необычной форме сердца. И такие романтические очертания Тойони проявятся тогда, когда посмотреть на него с неба. В отдаленном районе…
Read More
Мы думаем, что даже тем, кому посчастливилось посвятить свою жизнь путешествиям, к таким таинственным уголкам не добраться. Даже для ученых эти таинственные места планеты…
Read More
Мы все стремимся хоть не надолго вырваться из токсической среды, в которой находимся. Очень хочется набрать полные легкие свежего воздуха. Эта возможность есть у…
Read More
Что происходит после извержения вулкана? Как правило, кроме разрушений, могут образовываться грязевые вулканы и гейзеры. Подземные воды, нагретые теплом еще не остывшей магмы, через…
Read More
В Европе находятся несколько самых впечатляющих водопадов в мире — они знамениты своей высотой, геотермальными качествами или некоторыми другими особенностями. И хотя в Европе…
Read More
В городе Лиссе (Нидерланды) расположен самый красочный в мире ботанический сад Кёкенхоф, в котором ежегодно высаживают более 7 миллионов цветочных луковиц. Больше половины высаживаемых…
Read More
Некоторые растения здесь настолько опасны, что находятся в особых железных клетках или за колючей проволокой. О том, чтобы понюхать цветок или сорвать ягодку, лучше даже…
Read More
Подборка, подготовленная Google Earth, напоминает о том, что человечеству предстоит пройти ещё долгий, очень долгий путь, чтобы компенсировать весь тот вред, который мы, люди,…
Read More