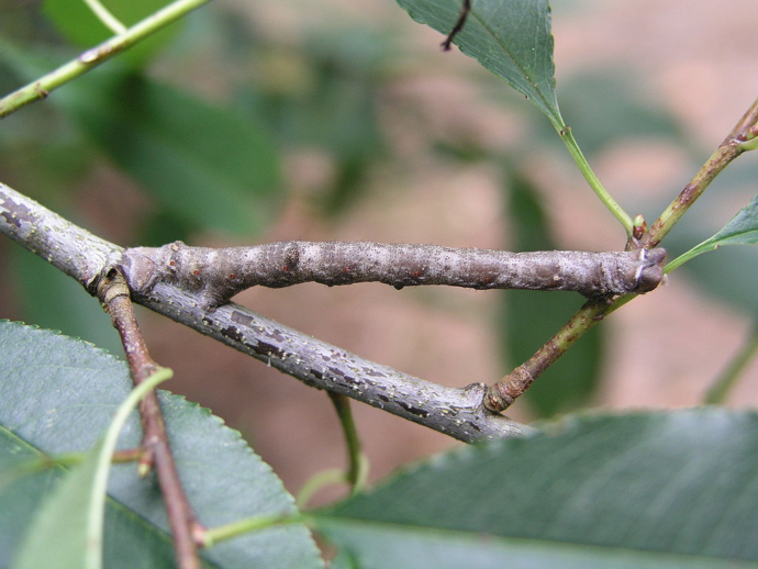
Гусеница березовой пяденицы обладает одним из самых впечатляющих природных камуфляжей в животном мире. Они не только выглядят как безжизненные веточки, но и могут менять цвет, чтобы соответствовать фону.
Гусеница березовой пяденицы, обитающая в разных регионах Северного полушария, таких как Азия, Европа и Северная Америка, является мастером мимикрии. Она не только имеет форму ветки, полную всех ее природных недостатков, но и может чувствовать цвет ветки, на которой она отдыхает, своей кожей и менять свой цвет соответствующим образом, чтобы защитить себя от хищников.
Вылупляясь из яиц в середине лета, гусеницы-палочники обычно активны с июля по сентябрь, но вы вряд ли их заметите, просто потому что они практически неотличимы от веточек. С телами неправильной формы, головами, похожими на сломанные стебли, и крошечными ножками, напоминающими маленькие шипы, эти крошечные создания полагаются как на идеальную осанку, так и на естественную способность менять цвет, чтобы улучшить свою маскировку .
Как будто одного их внешнего вида было недостаточно, чтобы обмануть большинство хищников, гусеницы-палочники могут прикреплять головы к ветвям деревьев и вытягивать тела наружу, чтобы имитировать крошечные веточки. Они могут сохранять это положение в течение длительного времени, по крайней мере достаточно долго, чтобы обмануть большинство угроз. В некоторых случаях крошечные гусеницы также могут принимать позы, напоминающие птичий помет.
В исследовании, опубликованном в Communications Biology, исследователи сообщили, что гусеницы березовой пяденицы меняли цвет своего тела в соответствии с фоном, даже когда им завязывали глаза. Это предполагает, что гены, необходимые для зрения, были выражены не только в глазах гусениц, но и в их коже.
«Гусеницы березовой моли имитируют веточки, чтобы их не обнаружили и не съели птицы. Поскольку веточки, на которых они могут оказаться, могут отличаться по цвету и рисунку, они эволюционировали, чтобы менять цвет. Нам показалось, что точность, с которой они это делают, противоречит относительно простой структуре и положению их глаз», — сказал профессор Илик Сачери из Ливерпульского университета .
Хотя пяденицы березовые и менее впечатляющие, чем их гусеницы, они также имеют перечный рисунок на крыльях, который помогает им сливаться с фоном деревьев, на которых они обычно отдыхают.
